Long flowering perennials

Discussion in 'General Gardening Discussion' started by PeterS, Dec 9, 2006.

  1. jazid

    jazid Gardener

    Joined:
    May 24, 2006
    Messages:
    542
    Ratings:
    +1
    That's well complicated Windy. Might have to have a glass and ponder what you might be meaning.. :D
     
  2. windy miller

    windy miller Gardener

    Joined:
    May 10, 2006
    Messages:
    1,884
    Ratings:
    +1
  3. UsedtobeDendy

    UsedtobeDendy Gardener

    Joined:
    Feb 2, 2006
    Messages:
    5,447
    Gender:
    Female
    Occupation:
    Retired teacher and gardener
    Location:
    Falkirk
    Ratings:
    +173
    I think you have to go with the basic definitions -
    annual = completes life-cycle in a year
    biennial = ditto - in 2 years
    perennial = ditto - in 2 or more years

    ...and accept that many plants classified under whichever of the above can be adapted in suitable circumstances if you wish to do so - but it doesn't change what they are classified as. The one thing that IS definitely wrong, IMO, is to classify what people generally call "bedding", like Busy Lizzies and those little begonias, as annuals. Most decent nurseries will just say "treat as annuals" which is fair enough.

    So, I'll get off the high horse, and go and do something useful..... oh, no - not the ironing again!!!! :eek: [​IMG]
     
  4. Hornbeam

    Hornbeam Gardener

    Joined:
    Apr 29, 2006
    Messages:
    2,310
    Ratings:
    +1
    I agree with you Jazid. Plants are monocarpic if their natural life cycles means that they flower, set seed and then die. In other words, they don't repeat flower year after year.

    Some will grow from seed, flower, set seed and die in one year, others may take longer. The use of terms like annual, biennial and perennial has more to do with how we choose to grow them than their natural cycle. A plant may be a long lived perennial in its native land, but can only live as an "annual" in frosty Britain. Monocarpic simply means that a plant will flower once and then die.
     
  5. PeterS

    PeterS Total Gardener

    Joined:
    Mar 18, 2005
    Messages:
    6,662
    Gender:
    Male
    Occupation:
    Retired
    Location:
    N Yorks
    Ratings:
    +4,017
    I read a book by Piet Oudolf the other day. He classified plants in a quite differant way. I wish I could remember his classifications. He didn't use the words annual or perennial, but he had about three classifications, one was 'pioneers', and another meant, but he didn't use the words 'long distance runners'. If you have an empty piece of soil, it is the pioneers that first take over. They are quick to germinate, quick to flower, and often flower themselves to death be it in one,two or three years. Then the long distance runners take over, slow to germinate, have a lot of growing to do and do not neccessarily flower for that long. It was, for me, a quite novel approach. But he had something in that long flowering periods are often associated with short lives.
     
  6. UsedtobeDendy

    UsedtobeDendy Gardener

    Joined:
    Feb 2, 2006
    Messages:
    5,447
    Gender:
    Female
    Occupation:
    Retired teacher and gardener
    Location:
    Falkirk
    Ratings:
    +173
    Interesting, Peter. Must investigate further....
     
  7. PeterS

    PeterS Total Gardener

    Joined:
    Mar 18, 2005
    Messages:
    6,662
    Gender:
    Male
    Occupation:
    Retired
    Location:
    N Yorks
    Ratings:
    +4,017
    I have found a reference to ruderal or pioneer plants. But it takes a bit of reading.

    "Plants have a variety of different survival strategies. Among these is the so-called ââ?¬Ë?ruderalââ?¬â?¢ strategy, whereby plants are adapted to spread rapidly into unoccupied space,proceeding to flower and seed within a relatively short space of time. ââ?¬Ë?Live fast and die youngââ?¬â?¢ could be their motto. The plants which do this tend to be short-lived opportunists, trading off a brief lifespan against the production of large quantities of seed. Usually this seed is smaller rather than larger. Ruderal plants ââ?¬â?? sometimes called ââ?¬Ë?pioneer speciesââ?¬â?¢ ââ?¬â?? put more of their energy into seed production than longer-lived plants."

    PDF format http://www.timberpress.com/pdfs/excerpts/9780881927962e.pdf

    HTTP format http://64.233.183.104/search?q=cache:ofmW8OG_Bx4J:www.timberpress.com/pdfs/excerpts/9780881927962e.pdf+piet+oudolf+pioneer+plants&hl=en&gl=uk&ct=clnk&cd=26
     
  8. jazid

    jazid Gardener

    Joined:
    May 24, 2006
    Messages:
    542
    Ratings:
    +1
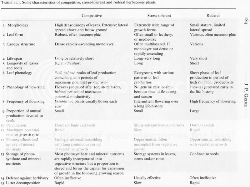
    Think this refers back to the CSR model developed by Grime (amongst others) at the brilliant Botany Dept at Sheffield during the 1980s. It describes three 'primary plant strategies' and places them at the apices of a triangular matrix that allows any plant to be located upon it and described both individually and as a member of its natural community. The three strategies are
    Competitor
    Stress-Tolerator
    Ruderal

    'Ruderals' are colonisers of bare soil or other areas with available resources and little competition. They tend to grow fast, seed quick, and die off. They cannot withstand competition and need the resources to grow and seed before other plants catch up. Classic examples are corn field weeds that emerge after ploughing (and now are rare because we don't plough, or plant in the spring as much).
    'Competitors' are plants that compete for the available resources in an established community. They employ some of a wide variety of strategies to give themselves a competitive edge; including use of toxins, fungal associations, cold weather growth, evergreen foliage, shading, nitrogen fixation etc etc. They are represented by, for example, hay field communities and coppice/woodland edge communities. The species vary in longevity according to strategy from short lived to very long lived.

    'Stress tolerators' are plants that cannot withstand competition from either 'ruderals' or 'competitors'. They occupy niches with scant or infrequently available resources, so that ruderals cannot reliably grow and competitors are too weakened to compete. Such plants tend to grow slowly and conserve resources ruthlessly. A good example might be lichens or deep woodland communities.

    As ever this is another way of imposing order on an otherwise chaotic kingdom, and has its adherents and its detractors (amusingly but impolitely called the 'Molecular Chauvinists'). I like it because it makes sense of plants at species and community levels at the same time, and I like whole organism science, but I feel it doesn't unduly help us gardening types.

    [​IMG]

    Don't know if you can read this or print it off, it outlines some of the strategies.
     
  9. jazid

    jazid Gardener

    Joined:
    May 24, 2006
    Messages:
    542
    Ratings:
    +1
    And just to bore for Britain here's the graphs:

    The Triangular model with the three strategies at the apices:

    [​IMG]

    And here are eight common grassland species located within it to show their differing strategies

    [​IMG]
     
  10. PeterS

    PeterS Total Gardener

    Joined:
    Mar 18, 2005
    Messages:
    6,662
    Gender:
    Male
    Occupation:
    Retired
    Location:
    N Yorks
    Ratings:
    +4,017
    Jazid - thank you - very interesting.

    In a way you are right this sort of info doesn't help gardening on a day to day basis. But I do like to understand the principles involved behind any system. If you understand the principles you very often have a good gut feeling for what's going on, and that makes remembering specific information much easier.

    On a differant subject, I recently bought a small book explaining the meaning of the latin names for plants. For instance my longest flowering plant is Salvia micro_phylla(small_leaves). But once I understood the principle behind the name, I now have no trouble in remembering it. In addition, when I am in a garden centre and see Fuschia microphylla or Primula macrophylla (largeleaf)I can understand what sort of a plant they are too and that makes remembering their names so much easier.
     
Loading...

Share This Page

  1. This site uses cookies to help personalise content, tailor your experience and to keep you logged in if you register.
    By continuing to use this site, you are consenting to our use of cookies.
    Dismiss Notice